Alaa Posted July 10, 2009 Posted July 10, 2009 Program ogladalam z mieszanymi uczuciami. Pomieszanie z poplataniem. Niby dobrze ze temat "rzucony" ale tak naprawde to niczego do calosci zwierzecego nieszczescia nie wniosl. Gdzie ludzie tam konflikty, tego nie da sie uniknac i nie sadze czy nawet za 50 lat bedzie lepiej. W sumie i tak nie wiadomo co z Diagonalem i Kasia, powinni pokazac konia jak aktualnie wyglada, a to bylo tylko takie z przeproszeniem sr...nie w banie. Na stronie fundacja sa zdjecia przed i po. Prosze osoby biegle w temacie konikow o wypowiedz na temat aktualnej kondycji Diagonala. Jako laik stwierdzam ze zebra nadal widoczne. Quote
tabaluga1 Posted July 10, 2009 Author Posted July 10, 2009 Tak marnego programu dawno nie widziałam . Prowadzenie też do bani . Zero planu zero pomysłu . W pól godziny ileś tam wątków: pies wieszany z podciętym gardłem , koń utylizowany wykopywany , inny koń zabiedzony odebrany , pies przejechany przez mleczarza , Mistrzostwo Europy w zaprzęgach , emocje kobiety od konia , opinia sąsiadów , umysł morderczy wg Ewy Banaszkiewicz , Karolina Wajda i dywagacje na tematy różne , koza i coś jeszcze . Ciekawa jestem JAKI BYL CEL tego programu ? Jakie wnioski ? Żadnych . Chaos . Ja mam tylko jeden wniosek . Urzędnicy nadal mogą nic nie robić nie przeszkadzać , sami miłośnicy zwierząt i obrońcy się pozjadają nawzajem . To był fatalny program . Beznadzieja . Samo życie . Quote
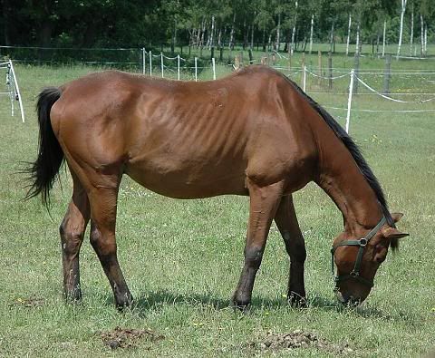
sonia&me Posted July 10, 2009 Posted July 10, 2009 Alaa napisał(a):Program ogladalam z mieszanymi uczuciami. Pomieszanie z poplataniem. Niby dobrze ze temat "rzucony" ale tak naprawde to niczego do calosci zwierzecego nieszczescia nie wniosl. Gdzie ludzie tam konflikty, tego nie da sie uniknac i nie sadze czy nawet za 50 lat bedzie lepiej. W sumie i tak nie wiadomo co z Diagonalem i Kasia, powinni pokazac konia jak aktualnie wyglada, a to bylo tylko takie z przeproszeniem sr...nie w banie. Na stronie fundacja sa zdjecia przed i po. Prosze osoby biegle w temacie konikow o wypowiedz na temat aktualnej kondycji Diagonala. Jako laik stwierdzam ze zebra nadal widoczne. Obejrzałam zdjęcia. Faktem jest że najlepiej wyglądał przed oddaniem do adopcji,podczas niej schudł bardzo i zanikły mięśnie (zadu,szyja zapadnięta) teraz wygląda lepiej,owszem nadal widać żebra i kręgosłup ale z tego co się orientuję mineły 2 miesiące tak? Więc jak na tyle czasu wygląda dobrze,jeszcze pare tygd i kości znikną z widoku że tak powiem.Również kłąb zrobił się mniej wydatny. Zwróciłam uwage na głowe Diagonala-nieźle odparzoną w paru miejscach od kantara.. Nie wiem co myśleć bo każda strona ma swoje racje..Na pewno koń wygląda lepiej Quote
sonia&me Posted July 10, 2009 Posted July 10, 2009 tabaluga1 napisał(a):Tak marnego programu dawno nie widziałam . Prowadzenie też do bani . Zero planu zero pomysłu . W pól godziny ileś tam wątków: pies wieszany z podciętym gardłem , koń utylizowany wykopywany , inny koń zabiedzony odebrany , pies przejechany przez mleczarza , Mistrzostwo Europy w zaprzęgach , emocje kobiety od konia , opinia sąsiadów , umysł morderczy wg Ewy Banaszkiewicz , Karolina Wajda i dywagacje na tematy różne , koza i coś jeszcze . Ciekawa jestem JAKI BYL CEL tego programu ? Jakie wnioski ? Żadnych . Chaos . Ja mam tylko jeden wniosek . Urzędnicy nadal mogą nic nie robić nie przeszkadzać , sami miłośnicy zwierząt i obrońcy się pozjadają nawzajem . To był fatalny program . Beznadzieja . Samo życie . Dokładnie program zrobiony beznadziejnie bez ładu i składu. Mój tata oglądał ze mną i stwierdził że wie tylko tyle że się darli wszyscy i konia odkopali.. Zrobione bez pomyślunku. Quote
Charly Posted July 10, 2009 Posted July 10, 2009 sonia&me napisał(a):Dokładnie program zrobiony beznadziejnie bez ładu i składu. Mój tata oglądał ze mną i stwierdził że wie tylko tyle że się darli wszyscy i konia odkopali.. Zrobione bez pomyślunku. hehe. dokładnie tak było. ja jeszcze pamiętam nogi pani prezenterki:cool3:i to, że w obliczy krzywdy zwierzęcia należy się kochać i szanować i emocje tylko psują wszystko. Quote
aina155 Posted July 10, 2009 Posted July 10, 2009 Ja ogladalam czesc. Nie wiem o co chodzilo. Program byl bez sensu. Raz bylo o Diagonalu, za moment o utylizacji konia (jakiegos innego) bez zadnego lacznika. Quote
sonia&me Posted July 10, 2009 Posted July 10, 2009 Charly napisał(a):hehe. dokładnie tak było. ja jeszcze pamiętam nogi pani prezenterki:cool3:i to, że w obliczy krzywdy zwierzęcia należy się kochać i szanować i emocje tylko psują wszystko. No dokładnie,jeszcze coś było o białych bryczesach:p a o emocjach to prawda bo tak naprawde wszyscy walczą o to samo a i tak są spięcia takie:shake: Quote
Charly Posted July 10, 2009 Posted July 10, 2009 ale wiesz..."dobro" zwierzęcia każdy interpretuje jak chce. a jeśli obie strony twierdzą, że dzieje się zle, że jest tragedia no to naprawdę trudno o spokój. Quote
sonia&me Posted July 10, 2009 Posted July 10, 2009 Dokładnie. Ja teraz sobie szukam troche informacji i znalazłam np. blog o tej stajni gdzie są opisane konia i ich zdjęcia.I na nich np Diagonal wygląda b.dobrze-owszem troche widać żebra ale nie było tak źle jak na zdjęciach pokazanych w reportażu. Z tym że dużo zdjęć jest jak konie chodzą pod siodłem. I naprawde nie wiem już co myśleć. Zgubiłam się:) Często w takich sytuacjach dobro tych zwierząt o które się tu w końcu rozchodzi spada na drugi plan a wychodzą spory ludzi. Bo dlaczego w reportażu nie pokazano obecnych losów zwierząt? Quote
olekg89 Posted July 10, 2009 Posted July 10, 2009 Kurde jakoś to nie jasne.Nie znam się kompletnie na koniach ,ale to jest chyba jakaś określona waga którą koń danej rasy powinien mieć.Chyba ,że się myle. DOberman waży 35-45kg więc taki koń też ma jakiś przedział.A skoro jest sporu chudszy to albo jest chory ,albo zaniedbany??Nie wiem czy dobrze myśle. Quote
sonia&me Posted July 10, 2009 Posted July 10, 2009 olekg89 napisał(a):Kurde jakoś to nie jasne.Nie znam się kompletnie na koniach ,ale to jest chyba jakaś określona waga którą koń danej rasy powinien mieć.Chyba ,że się myle. DOberman waży 35-45kg więc taki koń też ma jakiś przedział.A skoro jest sporu chudszy to albo jest chory ,albo zaniedbany??Nie wiem czy dobrze myśle. Dobrze myślisz.Może nie tyle co każda rasa(chociaż jakiś tam przedział mniej więcej jest) ale wygląd. Poczytaj pare postów wstecz,pisałam tam i tym że nie zależnie czy to koń zimnokrwisty jak np. (shire): http://www.ansi.okstate.edu/breeds/horses/shire/shire2.jpg czy półkrwi albo gorącokrwisty jak np.(folblut): http://www.konie.biz/sklad/Folblut.jpg Widać różnice w wadze:p ale zadnemu nie widać żeber itp. Quote
olekg89 Posted July 10, 2009 Posted July 10, 2009 Jeśli ta babka miała tego konia 2miechy to w 2 miesięce idzie chyba odpaść konia na tyle ,żeby nie wyglądał jak chabeta. Quote
sonia&me Posted July 10, 2009 Posted July 10, 2009 olekg89 napisał(a):Jeśli ta babka miała tego konia 2miechy to w 2 miesięce idzie chyba odpaść konia na tyle ,żeby nie wyglądał jak chabeta. Idzie;) ja myślę że on nie dostawał owsa po prostu.. Tak wyglądają konie na sianie tylko. Quote
Frotka Posted July 10, 2009 Posted July 10, 2009 Charly napisał(a):hehe. dokładnie tak było. ja jeszcze pamiętam nogi pani prezenterki:cool3: Wiesz, że ja też zapamiętałam głównie nogi? To upozowanie było zabójcze. Quote
Mitsune Posted July 10, 2009 Posted July 10, 2009 niestety muszę cie zmartwić ... siano jest pasza objętościową a nie owies (który daje energię) proszę o niewypowiadanie się przez osoby które nie mają pojęcia o całej sprawie obejrzycie z kilka razy reportaż ... przeżyjcie jeszcze kilka lat .. zmądrzyjcie aaaaa może wtedy zrozumiecie o co w tym wszystkim chodzi .. ps. nie mogłem wytrzymać jak widzę te głupoty musiałem specjalnie stworzyć konto ... Quote
sonia&me Posted July 10, 2009 Posted July 10, 2009 Mitsune napisał(a):niestety muszę cie zmartwić ... siano jest pasza objętościową a nie owies (który daje energię) proszę o niewypowiadanie się przez osoby które nie mają pojęcia o całej sprawie obejrzycie z kilka razy reportaż ... przeżyjcie jeszcze kilka lat .. zmądrzyjcie aaaaa może wtedy zrozumiecie o co w tym wszystkim chodzi .. ps. nie mogłem wytrzymać jak widzę te głupoty musiałem specjalnie stworzyć konto ... Nie zmartwiłeś mnie. Owszem ale jeśli koń chodzi pod siodłem i nie dostaje owsa to niewątpliwi chudnie bo właśnie nie ma z czego brac energi. Przynajmniej ja tak sądze ale może jestem niedouczona jakaś bywa różnie:) Sama mam taki przykład w stajni-kucyk chodzi pod siodłem i dostawał tylko siano chudy jak nie wiem co,od jakiegoś czasu dostaje owies i tak jak mówisz ma energię ale też przytył i to dużo. O sianie mogą żyć konie które robią na tyle mało że nie potrzebują dodatkowej energi w postaci owsa. Bardzo mi przykro że mojeja zastraszająca niewiedza zmusiłam Cię do założenia kąta. Quote
basia0607 Posted July 10, 2009 Posted July 10, 2009 Ja też wrzucę mój grosik do koszyka. Bralam udział w tym nagraniu, zaczełam mówić o bestialstwie na zwierzętach jednakże mi przerwano .:mad: Teraz jestem o niebo mądrzejsza ,wiem ,że nie dalabym sobie odebrać glosu. Wiele bylo materialu ,wiele wypowiedzi. Wiele rzeczy zostalo wyciętych, dużo tematów w jedej emisji. Zadzwoniłam dzisiaj do astystentki p .Jaworowicz, podziekowałam, że zdecydowali się na pokazanie tak ważnego tematu jak ubojnie, skupy , bestialstwo. Poprosiłam aby ten temat nadal był kontynuowany. Otrzymałam deklarację , że to nie jest koniec. Bądżmy dobrej myśli. Ps. wieszana suczka nadal jest u mnie i czeka na swojego pana. Zwierzęta Wiolety mają dobrą opieke. Quote
Mitsune Posted July 10, 2009 Posted July 10, 2009 eeee... nic twórczego nie przeczytałem może spytam inaczej kto twierdzi ...wie ...powiedział... że koń nie dostawał owsa ... tak naprawdę w reportażu była garstka wiadomości a dużą ważną część wycieli bo nie było czasu ... 30 minut a nagranie trwało 2 godziny i jeszcze 2 godziny w studio ... Quote
rotek_ Posted July 10, 2009 Posted July 10, 2009 ogladAŁAM i podzielam uwagi poprzednich użytkowników program zrobiony chaotycznie:shake: nie miałam do czynienia z żadną ze stron przedstawionych w reportażu trudno było mi określić kto tak naprawdę w tym zawinił:roll: badanie weterynaryjne(JEDNO!) to chyba znikomy dowód z doświadczenia wiem że są weterynarze przez duże W i ta gorsza część, która całe studia jakoś się ślizgała przypominając sobie ostatnią diagnozę mojego schroniskowego psa az się chciało śmiać i trudno było nam uwierzyć że pisała to osoba po ponad 5 latach nauki na uczelni:mad: ogólnie każdy na siebie krzyczał, oskarżając się na wzajem Jedyne z czym mogę się zgodzić to stwierdzenie chyba przez panią Banaszkiewicz w Polsce ludzie pod wpływem emocji-szczegolnie jeśli chodzi o zwierzęta- na początku reagują agresją Quote
Mitsune Posted July 10, 2009 Posted July 10, 2009 Spytani kto zrobił te badania odpowiedzieli że ich weterynarz ... Proszę tylko o nie pisanie rzeczy wyssanych z palca .. i rożnych dziwnych teorii ... Quote
agata-air Posted July 10, 2009 Posted July 10, 2009 Brałam udział w nagraniu i wyszłam delikatnie mówiąc oburzona. Nagranie było bardzo tendencyjne (na szczęście na ekranie nie było to tak widoczne). Zaproszono gości, którym nie dano dojść do słowa albo ich wypowiedzi były wycięte. Oprócz Fundacji Pegasus były Zwierzęta Eulalii i Biuro Lobbingu Prozwierzęcego zaproszone min. do rozmowy o targach zwierząt gospodarskich- tego tematu właściwie nie poruszono. Był tez przedstawiciel Kancelarii Prezydenta RP, również nie dopuszczony do głosu. Na koniec usłyszeliśmy z ust prowadzącej "to trzeba było krzyczeć"... Całość wyszła niespójna, nie pomogła „zwykłemu człowiekowi” w zrozumieniu dramatycznej sytuacji zwierząt w Polsce. Fundacja Pegasus w trakcie nagrania została wielokrotnie oczerniona, stosowano nawet triki anonimowych "rozmówców telefonicznych"- było to wyjątkowo żenujące. Jeśli chodzi o sprawę Diagonala po zapoznaniu się z dokumentacją przyznaję 100% słuszność fundacji- każda organizacja na ich miejscu postąpiłby identycznie. Dodatkowo gdyby "uprzejmy sąsiad" zgłosił sytuację jako znęcanie się nad zwierzętami np. mojej fundacji odebrałabym zwierzę interwencyjnie. Twierdzenie jakoby koń był po prostu chudy kojarzy mi się z tłumaczeniem ludzi podczas moich najgorszych interwencji- typowe. Dowody pokazują, że zwierzę pięknie wyglądało zanim trafiło do Pani Wioletty, opinia wet jest druzgocąca a aktualne zdjęcia pokazują, że zwierzę wygląda dużo lepiej. Osoba Pani Wioletty nie budzi mojego zaufania, okłamała wielokrotnie fundację (wyobraźcie sobie, że taka sytuacja zaistniała np. przy waszych były tymczasowiczach- jak byście się zachowali?), sfałszowała dokumenty (dodatkowe podejrzenia fundacji wzbudził fakt, że według zaświadczenia z utylizacji koń ważył o połowę mniej niż w dniu gdy trafił do Pani Wiolety). Moje wątpliwości budzi również fakt wykorzystywania konia do jazdy. Dodatkowo Pani Wioletta twierdzi, że nikt jej nie pomaga. Tuż po nagraniu okazało się, że jest to nieprawdą a jedna ze znajomych fundacji nawet tego samego dnia dostała kolejne faktury za leczenie i utrzymanie jej zwierząt. Zapraszam do zapoznania się z oświadczeniem Fundacji Pegasus, które dokładnie opisuję historię Diagonala, przedstawione są tam również dokumenty i zdjęcia Fundacja PEGASUS Diagonal przed adopcją Po pobycie w kochającym domu http://images45.fotosik.pl/160/7f5414ec1aa2b15fmed.jpg Aktualne zdjęcia w Fundacji zdjęcia: Fundacja PEGASUS Pani Wioleto po nagraniu każdy nawoływał do rozmowy, spotkania. Czy od czasu nagrania kontaktowała się Pani z Fundacją Pegasus? Dowiadywała o stan zwierząt? Chciała je odwiedzić? Dowiedzieć czegokolwiek o ich sytuacji? Czemu koza Kasia nie ma jednego ucha? Czemu miała wylew? Nie twierdzę, że jest Pani złą osobą ale z własnej winy straciła Pani zaufanie fundacji, tym bardziej oburza mnie Pani późniejsza postawa. Chciałabym również zaznaczyć, że czyny jakich Pani dokonała reguluje kodeks karny i Ustawa o Ochronie Zwierząt. Quote
jola_li Posted July 10, 2009 Posted July 10, 2009 Frotka napisał(a):Program zrobiony fatalnie. Groch z kapustą, tysiąc tematów na raz, kompletnie bez ładu i składu. Nie rozumiem dlaczego funadcja miałaby płacić komuś kto bierze konia w adopcję? Zgadzam się - FA-TAL-NIE!!! Bez rozwiązania, konkluzji, a jedynie z nastawieniem na sensację. Jak większość jej programów... Zamiast kilkakrotnie powtarzać/pytać i dziwić się, że Fundacja nie płaci za utrzymanie adoptowanego konia wystarczyłoby przygotowując się do programu przeczytać umowę adopcyjną i odłożyć temat ad acta. A na koniec zacytowała co drugi wers PIĘKNEGO wiersza Barbary Borzymowskiej i skonstatowała, że jest "mało wysublimowany". Kompletny brak profesjonalizmu.... Załączam jako odtrutkę: (dla formalności informacja, że są to karty z książki Barbary Borzymowskiej "A pies siedzi i patrzy" wydanej przez Fundację "Zwierzęta Eulalii") http://www.eulalia.pl/images/galery/105/1246300050ksiazka0112kopia.jpg Quote
Moria Posted July 10, 2009 Posted July 10, 2009 Proszę przedstawić tutaj na wątku rzekome faktury, ktore są płacone przez nieznane mi osoby za leczenie i utrzymanie moich zwierząt. Wszystkie zwierzęta będące moją wlasnościa sa utrzymywane dzięki moim prywatnym środkom finansowym. Poprzez kłamstwa, ktorych dopuszcza sie Fundacja bedę zmuszona podać Fundacje do sądu o zniesławienie. Rownie post napisany na tym wątku też będzie dowodem. Proszę przestać kłamać. Quote
aina155 Posted July 10, 2009 Posted July 10, 2009 http://images45.fotosik.pl/160/7f5414ec1aa2b15fmed.jpg Ja od razu mowie, ze na koniach totalnie sie nie znam, ale (jesli dobrze zerouzmialam watek) taki kon chodzil pod siodlem? Przeciez to sama skora i kosci. Jemu miednica wystaje! Quote
Mitsune Posted July 10, 2009 Posted July 10, 2009 I nadal wszyscy są bardzo stronniczy... Tak umiecie szukac w internecie zdjec? Ja tez umiem... Zdjęcie z bloga pani Wioletty (podczas pakowania konia przez wolontariuszke fundacji) Zdjęcie z strony Pegasusa "Skóra i kości", a jaki wplyw na wygląd konia ma pani Wioletta od momentu wywiezienia go przez brame jej gospodarstwa? Do oskarżeń potrzebne są dowody jakich rządam! Poprosze o zdjęcia zagłodzonego konia zrobione jako dowód w gospodarstwie pani Wioletty przed odebraniem (bo przeciez to u niej konia zagłodzono) Zdjęcia różnią sie tym że na pierwszym drzewa są jeszcze łyse ( dla podpowiedzi ..koń ma jeszcze zimowe futro) a na drugim drzewa są już zielone czy wasze psy nie linieją ? myśleć... Quote
Recommended Posts
Join the conversation
You can post now and register later. If you have an account, sign in now to post with your account.